| 제목 : 로즈마리호 긴꼬리조황 | ||
| 등록일 : 2026-01-18 | ||
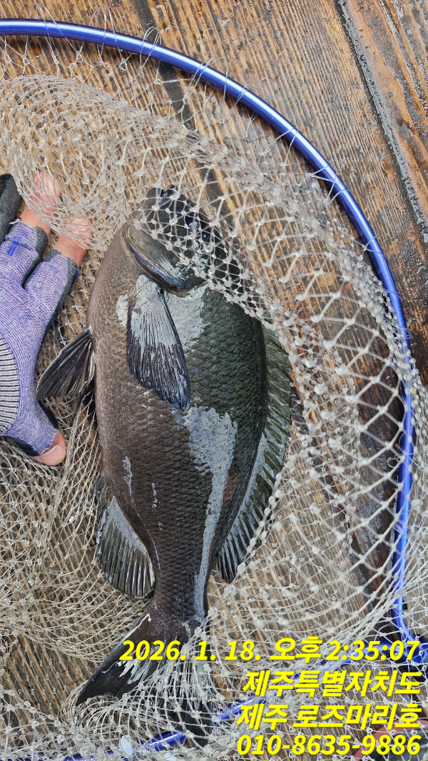
![]() ![]() ![]() ![]() ![]() ![]() ![]() 오랜만에 좋을 날씨입니다.^^ 물때도 좋구요 고기도 잘나오네요! 입질도 시원하니 퍽퍽 가져가주니 재밌게 고기잡고 왔습니다. 4짜는3마리 그리고 3짜초반들 부시리들 좀잡고 왔구요. 내일부터 금요일까지 안좋은 날씨로 쉬다갑니다. 주말에 흘림손님 없으면 갑오징어 답사좀 하고 나오는것 보고서 갑오징어 출조 시작해 볼까합니다. 올해도 갑오징어 열심히 잡아보시죠. tp://rosemary.sunsang24.com 제주 로즈마리호, 선상낚시 제주 서귀포시 모슬포항 로즈마리호, 제주 선상낚시, 바다낚시, 배낚시, 체험낚시, 타이라바, 한치, 갈치, 조황정보 rosemary.sunsang24.com #선팔환영 #팔로우미 #좋아요 #맞팔해요 #대물낚시 #벵에돔 #한치낚시 #체험낚시 #문어낚시 #낚시용품 #낚시점 #로즈마리 #도시어부 #제주여행 #제주선상낚시 #로즈마리호#참돔낚시 #제주선상 #선상낚시 #타이라바 #한치선상낚시 #갈치낚시 #갑오징어낚시#유튜브#내일은낚시왕#어신앱#어신필드스텝#난리부르스#낚시왕이하늘#신조선로즈마리호 *** 제주 로즈마리호 예약 안내 *** 예약문의 : 010-8635-9886 오시는길 : 제주도 서귀포시 대정읍 모슬포항(동부수산 앞) 홈페이지 : http://rosemary.sunsang24.com/
|
||